All Rights reserved
By continuing to use our site, you agree to our Privacy Policy and Terms of Use.
By Elizabeth Wolfe, Aya Elamroussi, Robert Shackelford and Mary Gilbert, CNN
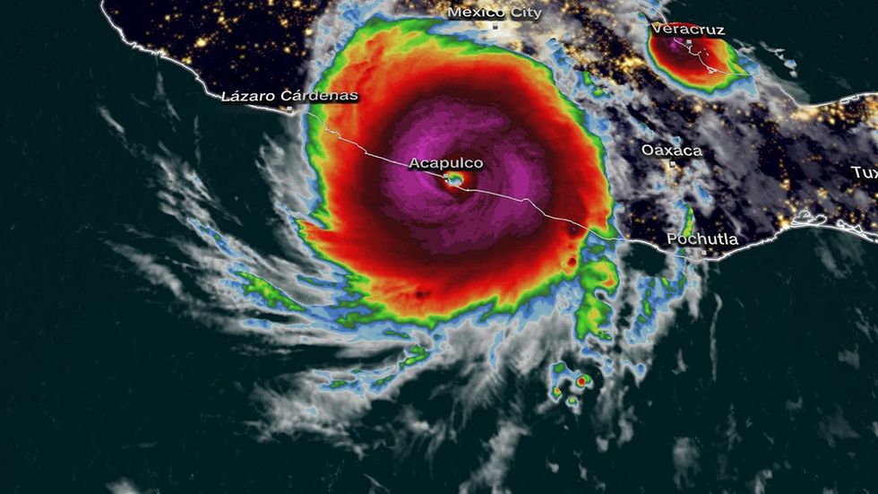
(CNN) – Hurricane Otis unleashed a “nightmare scenario” on Acapulco in southern Mexico Wednesday morning after the storm rapidly intensified into a Category 5 just before landfall and gave officials and residents little time to prepare.
Otis strengthened from a tropical storm to an extremely dangerous Category 5 hurricane in just 12 hours before it slammed ashore near Acapulco as the strongest storm on record to hit this area and the Pacific coast of Mexico.
The sudden burst of power gave people little time to prepare and get to safety as Otis bore down on Acapulco, a popular tourist destination that’s also a permanent home to roughly 800,000 people.
As Otis kept strengthening as it neared the coast forecasters at the National Hurricane Center warned that a “nightmare scenario is unfolding.”
“There are no hurricanes on record even close to this intensity for this part of Mexico,” the hurricane center said late Tuesday.
Studies have shown that rapid intensification of tropical systems is happening more frequently, especially as storms approach landfall, as a result of climate change.
Otis’ center slammed into Mexico’s coast, near Acapulco, at around 12:25 a.m. local time with sustained winds of 165 mph, the National Hurricane Center said.
Within hours, the storm’s maximum sustained winds had slowed to 110 mph, the hurricane center said, with the dangerous hurricane-force winds extending up to 30 miles from Otis’ center.
The hurricane was about 60 miles north-northwest of Acapulco as of 8 a.m., the center said.
The storm is expected to rapidly weaken as it presses inland and over southern Mexico’s higher terrain, where it will likely dissipate Wednesday night, the hurricane center said.
On Tuesday night, Mexican President Andrés Manuel López Obrador implored coastal residents of the state of Guerrero, which includes the beach resort city of Acapulco, to seek shelter and stay away from rivers, streams and ravines ahead of the storm’s landfall.
A hurricane warning is in effect for coastal Punta Maldonado westward to Zihuatanejo.
The winds near Otis’ core are “extremely destructive,” the hurricane center cautioned early Wednesday. Upper floors of high-rise buildings are at greater risk of severe winds than those closer to ground level, the center said.
Otis is also forecast to create storm surge that will likely whip up “large and destructive waves” and life-threatening coastal flooding around the area where it made landfall.
Additionally, between 8 to 16 inches of rain totals are expected through the end of the week, with some areas seeing up to 20 inches of rain. The heavy rainfall could lead to flash and urban flooding as well as mudslides in higher terrain areas, the hurricane center warned.
Otis had been rapidly intensifying throughout Tuesday, gaining 80 mph in a 12-hour period. It became the fastest intensifying hurricane in Eastern Pacific history, according to Phil Klotzbach, a research scientist in the atmospheric science department at Colorado State University.
For context, rapid intensification for hurricanes means the storm’s maximum sustained winds increased by at least 35 mph in 24 hours or less.
Otis tops strength of 2015 record-setter
Before Otis, there had not been a Category 5 landfall for the East Pacific, according to the NOAA Hurricane Database. The previous strongest landfall was Hurricane Patricia in 2015, which made landfall as a Category 4 Hurricane with winds of 150 mph.
Unlike Otis, which has made landfall close to a major urban area, Patricia plowed through a sparsely populated and mountainous stretch of the coast, sparing Puerto Vallarta and Manzanillo.
And while Patricia hit the coast as a Category 4 storm, it quickly degenerated and left a narrow path of severe damage it its wake, according to the National Hurricane Center. Two deaths were reported as a direct result of the storm, the center said.
The-CNN-Wire
™ & © 2023 Cable News Network, Inc., a Warner Bros. Discovery Company. All rights reserved.
- Hurricane Idalia Targets Florida with High Winds, Tornadoes, “Life-Threatening” Storm Surge ›
- Western Mexico Braces for Hurricane Rosyln ›
- Puerto Vallarta on Hurricane Watch as Category 4 Storm Targets Mexico ›
- “Apocalyptic Scene” as Hurricane Idalia Makes Landfall in Florida ›
- Asheville heartbreak: Will LGBTQ+ cocktail bar rise from the ruins? ›












































































